|
Secretaria Municipal da Casa Civil
|
|
Cria os Parques integrantes do Programa Urbano Ambiental Macambira Anicuns – PUAMA; Disciplina o regime urbanístico especial para a Área de Programa Especial de Interesse Ambiental Macambira Anicuns; regulamenta a aplicação de instrumentos de política urbana, nos termos dos artigos 130, alíneas “b” e “c”; 132; 133; 134; 140 e 145 da Lei Complementar nº 171, de 29 de maio de 2007 que aprovou o Plano Diretor do Município de Goiânia; cria o Bônus Moradia e dá outras providências. |
Nota: Ver
1 - Lei Complementar nº 226, de 2012 - isenta taxação do PUAMA;
2 - Lei nº 10.848, de 2022 - Transferência do Direito de Construir - TDC;
3 - Decreto nº 2.796, de 2025 - Gabinete Executivo de Projetos Prioritários e do Programa Urbano Ambiental Macambira Anicuns - GEPP;
4 - Decreto nº 2.655, de 2012 - regulamento; e
5 - Decreto nº 1.392, de 2011 - Área de Programa Especial do Programa Urbano Ambiental Macambira Anicuns.
Nota: ver Decreto nº 475, de 2015 - cria UEP - Unidade Executora do Programa Urbano - Ambiental Macambira Anicuns;
CAPÍTULO I
DAS DISPOSIÇÕES PRELIMINARES
Art. 1º Fica criado o Parque Linear Urbano Macambira Anicuns, que passará a ser denominado Parque Linear Macambira Anicuns e os dois Parques Ambientais Urbanos, a serem denominados Parque Macambira e Parque da Pedreira, todos integrantes do Programa Urbano Ambiental Macambira Anicuns – PUAMA, em conformidade com a delimitação física e a figura espacial constante do Decreto Municipal nº 1.392, de 26 de abril de 2011.
Art. 2º Esta Lei estabelece um disciplinamento especial para as áreas integrantes do PUAMA, abrangendo todos os bairros, glebas e áreas integrantes de seus parques e de sua Área de Influência, definidos pelo Decreto Municipal nº 1.392 de 26 de abril de 2011, visando às seguintes finalidades:
I - promoção de transformações estruturais de caráter urbanístico, social, econômico e ambiental, por meio do estabelecimento de regime urbanístico diferenciado, consubstanciado na adoção de parâmetros especiais de uso e ocupação do solo, em conformidade com o disposto no artigo 130, da Lei Complementar nº 171, de 29 de maio de 2007, que aprovou o Plano Diretor do Município de Goiânia;
II - controle dos efeitos sociais e da valorização imobiliária decorrente da implementação do PUAMA, por meio da delimitação de áreas e fixação de critérios para a aplicação do instrumento do Direito de Preempção;
III - viabilização de recursos orçamentários complementares para implementação do PUAMA, por meio da aplicação de mecanismos de negociação entre os setores público e privado previstos pela LC nº 171 /2007.
Art. 3º Fica instituída a Área de Influência Direta do PUAMA – AID-PUAMA, conforme figura constante do Anexo I, desta Lei, sobre a qual se incidirá um maior grau de transformações urbanísticas resultantes da influência direta pela implantação dos parques, e sobre a qual o Município deverá manter um maior controle dos processos urbanos decorrentes.
Nota: ver parágrafo único do art. 2º do Decreto nº 2.655, de 13 de dezembro de 2012 - dispõe sobre a possibilidade de implantação de Projeto Diferenciado de Urbanização – PDU para imóveis integrantes da Área de Influência Direta do PUAMA - AID-PUAMA.
Parágrafo único. A AID-PUAMA é representada pelas áreas e lotes, respeitada sua integridade, compreendidos na faixa aproximada de duzentos metros, contígua aos parques integrantes do PUAMA, que estarão sob influência direta do Programa, conforme figura espacial constante do Anexo I, desta Lei, resguardados os interesses ambientais.
CAPÍTULO II
DO DISCIPLINAMENTO URBANÍSTICO
Art. 4º A fim de dar tratamento urbanístico para ocupação dos Vazios Urbanos, caracterizados como glebas, quinhões, áreas e lotes vagos, não integrantes dos Eixos de Desenvolvimento estabelecidos pela LC nº 171/2007 e que compõem a Área de Influência do PUAMA, com densificação superior ao previsto pelas normas urbanísticas vigentes, poderão ser autorizados pela Secretaria Municipal de Planejamento e Urbanismo – SEPLAM, ouvida a Unidade Executora do Programa Urbano Ambiental Macambira Anicuns – UEP, empreendimentos na forma de Projeto Diferenciado de Urbanização – PDU, Conjunto Residencial e a forma de ocupação prevista para a Área Especial de Interesse Social – AEIS, segundo critérios estabelecidos pelo Plano Diretor, legislação complementar específica e consoante disciplinamento especial previsto nesta Lei.
Art. 5º Para fins da ocupação dos vazios urbanos sob forma de Projeto Diferenciado de Urbanização - PDU, nos termos do art. 4º desta Lei, prevalecem os procedimentos e parâmetros previstos em lei específica que trata sobre vazios urbanos, inclusive quanto à exigência ou não do loteamento do solo prévio, assim como os critérios urbanísticos especiais previstos nesta Lei, na lei específica e no Plano Diretor de Goiânia. (Redação dada pela Lei Complementar nº 371, de 2024.)
Art. 5º Para fins da ocupação dos Vazios Urbanos e lotes vagos sob a forma de PDU, nos termos do artigo anterior, prevalecem os procedimentos e parâmetros estabelecidos pela Lei n° 8.767/2009, inclusive quanto à exigência ou não do parcelamento prévio da gleba, assim como os critérios urbanísticos especiais estabelecidos nesta Lei, excepcionalizados os seguintes condicionantes:
I - fica estabelecido para os Vazios Urbanos e lotes vagos, situados na Área de Influência do PUAMA, a modalidade de PDU II, caracterizada por ocupações em média alta densidade, excetuadas a Unidade Territorial de Proteção Integral – Área de Preservação Permanente – APP e a Unidade de Uso Sustentável;
II - fica estabelecido para os Vazios Urbanos e lotes vagos, situados na Área de Influência do PUAMA e integrantes da Unidade Territorial de Uso Sustentável, a modalidade de PDU V, caracterizada por ocupações em baixa densidade;
III - nos termos do art. 105, da LC nº 171/2007, não se admite nenhuma das modalidades de ocupação previstas em lei para os Vazios Urbanos e Lotes Vagos integrantes da APP;
IV - nos termos do inciso V, do Art. 3º, da LC nº 171/2007, admite-se PDU em área igual ou superior a 5.000,00m² (cinco mil metros quadrados) ou, ainda, em quadra inteira circundada por via, quando pertencente a loteamento aprovado, não sendo computada a área de APP em qualquer circunstância;
Nota: Ver inciso V do art. 3° da Lei n° 8.767, de 19 de janeiro de 2009 - PDU.
V - para a conformação de novos Vazios Urbanos no interior da Área de Influência do PUAMA, poderão ser aplicados previamente os procedimentos de remembramento, desmembramento, remanejamento e demolição, sob anuência da Secretaria Municipal de Planejamento e Urbanismo – SEPLAM, ouvida a UEP.
§ 1º Fica estabelecida a modalidade de PDU II para o vazio urbano situado na Área de Influência do PUAMA, caracterizada por ocupações em média alta densidade. (Incluído pela Lei Complementar nº 371, de 2024.)
§ 2º Excetua-se do previsto no § 1º deste artigo, os trechos do imóvel caracterizado enquanto vazio urbano que estejam situados nas unidades territoriais denominadas por Área de Restrição Ambiental Urbana - ARAU e Área de Ocupação Sustentável - AOS. (Incluído pela Lei Complementar nº 371, de 2024.)
§ 3º Nos termos do § 2º deste artigo, fica estabelecida a modalidade de PDU IV, caracterizada por ocupações em baixa densidade, ao trecho de imóvel caracterizado como vazio urbano e situado em AOS. (Incluído pela Lei Complementar nº 371, de 2024.)
§ 4º Na Área de Preservação Permanente - APP, integrante da ARAU, não será admitida nenhuma das modalidades de PDU. (Incluído pela Lei Complementar nº 371, de 2024.)
§ 5º Admitir-se-á o PDU em imóvel caracterizado como vazio urbano e que atenda ao previsto no art. 174 do Plano Diretor de Goiânia. (Incluído pela Lei Complementar nº 371, de 2024.)
§ 6º Poderão ser aplicados previamente os procedimentos de remembramento, desmembramento, remanejamento e demolição, exclusivamente nos imóveis caracterizados como vazios urbanos integrantes Área de Influência do PUAMA, desde que anuído pelo órgão ou entidade municipal de planejamento urbano, ouvida a UEP. (Incluído pela Lei Complementar nº 371, de 2024.)
Art. 6º Em contrapartida à autorização de PDU, de acordo com o previsto no artigo anterior, deverá ser destinado ao Município o percentual de 25% (vinte e cinco por cento) da área utilizável do terreno objeto da concessão, excetuadas as APP’s, como Área Pública Municipal – APM.
§ 1º A área a ser destinada ao Município, nos termos deste artigo, obrigatoriamente deverá estar situada no território previsto para implantação dos parques do Programa, independentemente da unidade territorial prevista pela LC nº 171/2007, cuja avaliação técnica e autorização para sua aceitação estará a cargo da SEPLAM, ouvida a UEP, sendo condição prévia para formalização do ato.
§ 2º A Certidão de Registro do imóvel a ser destinado, nos termos deste artigo, deverá ser repassada à UEP quando da conclusão dos atos administrativos decorrentes, sendo que a autorização inicial para empreender PDU deverá ser acompanhada da celebração de um Termo de Compromisso, firmado entre as partes, que garanta o repasse posterior do imóvel ao Município.
§ 3º Excepcionalmente, comprovada a inviabilidade de implantação do PDU e já concretizada a doação, a área doada se reverterá em crédito de Transferência do Direito de Construir – TDC, segundo dispositivos desta Lei.
Art. 7º Para fins de ocupação dos Vazios Urbanos e lotes vagos sob a forma de PDU, Conjunto Residencial e AEIS, nos termos do artigo 3º, desta Lei, ou ainda, nos processos de aprovação dos parcelamentos urbanos, poderão ser também repassados ao Município de Goiânia, valores pecuniários, bens, serviços e direitos patrimoniais ou de interesse público, inclusive unidades habitacionais construídas, avaliados segundo os critérios e procedimentos oficiais praticados no Município e consoante autorização prévia da SEPLAM, ouvida a UEP, a título de doação da contrapartida legal obrigatória em percentual de APM’s.
§ 1º A contrapartida decorrente da aplicação do previsto neste artigo, quando feita em moeda corrente, será em parcela única;
§ 2º Quando se tratar do recebimento de bens, obras ou serviços, o beneficiário deverá, após análise da conveniência pela UEP, celebrar Termo de Compromisso, com natureza de ato vinculado, definitivo e imune, por retratar uma outorga onerosa, observando o disposto nesta Lei e da Legislação pertinente.
Art. 8º A contrapartida estabelecida no artigo anterior não isenta o beneficiário do pagamento de Outorga Onerosa do Direito de Construir – OODC.
Art. 9º Aplica-se para fins de identificação das unidades territoriais de Proteção Integral e de Uso Sustentável nos parques previstos pelo PUAMA, o disposto nos artigos 106 e 108, da LC nº 171/2007, combinado com o artigo 54D, da Lei Complementar nº 177 de 09 de janeiro 2008, alterada pela Lei Complementar nº 181, de 01 de outubro de 2008, observados os seguintes critérios:
§ 1º Considera-se as faixas bilaterais contíguas aos cursos d’água com largura mínima de 30,00m (trinta metros), o limite para a identificação da APP em áreas consolidadas ao longo do Córrego Macambira e do Ribeirão Anicuns, para os lotes inseridos no limite do Parque Linear Macambira Anicuns, desde que tais dimensões propiciem a preservação de suas planícies de inundação ou várzeas, prevalecendo o disposto na alínea “a”, do art. 106, da LC 171/2007 para as áreas e glebas e entendido que os limites das faixas de inundação constituem a própria APP, em conformidade com a Lei Federal nº4.771, de 15/09/65, Código Florestal Brasileiro e art. 2º, da Resolução CONAMA nº 303, de 20/03/2002.
§ 2º Considera-se a primeira via pública existente ou a implantar nas duas margens do Ribeirão Anicuns e Córrego Macambira o limite para identificação da Unidade de Uso Sustentável nas áreas integrantes do Parque Linear Macambira Anicuns.
Nota: ver art. 4º do Decreto nº 2.655, de 13 de dezembro de 2012 - regulamenta a aplicação deste parágrafo.
§ 3º Para os casos de parcelamento de glebas integrantes do território dos parques previstos pelo PUAMA, deverão ser observados a integridade e o conceito estabelecidos, no que se refere à sua individualização por via pública, considerado o disposto neste artigo e conforme delimitação física constante do Decreto Municipal nº 1.392 de 26 de abril de 2011.
Art. 10. Os vazios urbanos caracterizados por imóveis não edificados, subutilizados ou não utilizados, lindeiros aos imóveis atingidos pela Área de Influência Direta do PUAMA – AID-PUAMA, passarão a constituir o Grupo III. (Redação dada pela Lei Complementar nº 349, de 2022.)
Art. 10. Em observância ao Parágrafo único, do art. 15, da Lei Complementar n. 181, de 01/10/2008, os vazios urbanos lindeiros aos imóveis atingidos pela Área de Influência Direta do PUAMA – AID-PUAMA; os lotes vagos e os imóveis abandonados, integrantes dos setores atingidos pela Área de Influência Direta do PUAMA – AID-PUAMA, passarão a constituir o Grupo III – Grupamento dos Parcelamentos, conforme descrição e normatização estabelecidos em Lei própria.
Parágrafo único. Excetuar-se-ão do Grupo III, instituído no caput deste artigo, os vazios urbanos que já constituem os Grupos I e II, conforme Plano Diretor de Goiânia. (Redação dada pela Lei Complementar nº 349, de 2022.)
Parágrafo único. Estarão excetuados do Grupo III - Grupamento dos Parcelamentos, instituído neste artigo, os vazios urbanos, lotes vagos e imóveis abandonados, descritos no “caput” que já constituem os Grupos I e II – Grupamento dos Parcelamentos, conforme Lei Complementar n.º 181, de 01/10/2008.
CAPÍTULO III
DOS INSTRUMENTOS DE POLÍTICA URBANA
Seção I
Da Transferência do Direito de Construir - TDC
Art. 11. A aplicação do instrumento de Transferência do Direito de Construir - TDC sobre imóveis integrantes do PUAMA reger-se-á: (Redação dada pela Lei nº 10.848, de 2022.)
Art. 11. A aplicação do instrumento da Transferência do Direito de Construir – TDC sobre imóveis integrantes do PUAMA reger-se-á pela LC nº 171/2007, associada à Lei nº. 8.761, de 19/01/2009, ressalvadas as seguintes disposições:
I - as área originárias do TDC passam a observar a Relação de Transferência quanto ao potencial gerado pela transferência, segundo a localização da unidade imobiliária a ser doada e conforme a seguinte tabela: (Redação dada pela Lei nº 10.848, de 2022.)
I - as áreas originárias de TDC, integrantes dos parques previstos pelo PUAMA, passam a observar a Relação de Transferência quanto ao potencial gerado pela transferência, segundo a localização da unidade imobiliária a ser doada e conforme a seguinte tabela:
TDC |
UNIDADE TERRITORIAL |
RELAÇÃO DE TRANFERÊNCIA |
|||
Imóvel Doado |
Área de Transferência acima do potencial máximo Respeitado 25% da altura conforme estabelecido no § 1°- art. 158 da LC 171/2007 |
Área de Transferência para substituição da Outorga Onerosa do Direito de Construir - OODC |
|||
Unidade de Uso Sustentável |
1,00 m² |
5,00m² |
5,00m² |
||
Unidade de Proteção Integral |
1,00 m² |
5,00m² |
5,00m² |
||
II - a TDC de que trata o inciso I, deste artigo, poderá ser utilizada em substituição parcial ou total ao instrumento da OODC, para áreas receptoras do potencial construtivo, localizadas em qualquer unidade territorial integrante da Macrozona Construída;
III - as áreas receptoras do potencial construtivo, objeto de Transferência do Direito de Construir quando utilizada como sobredensidade e respeitado 25% da altura conforme estabelecido no § 1°- art. 158 da LC 171/2007, estarão localizadas na unidade territorial definida como Áreas Adensáveis, exclusivamente nas áreas pertencentes aos Eixos de Desenvolvimento e áreas objeto de aplicação de Projeto Diferenciado de Urbanização, integrantes da Macrozona Construída;
IV - é condição obrigatória na aplicação da TDC parecer técnico conclusivo da SEPLAM, ouvida a UEP, sobre a conveniência de aceitação da área oferecida em doação ao Município, assim como sobre a relação de transferência que será adotada na negociação;
V - em substituição ao disposto no caput do art. 6º, da Lei nº 8.761, de 19 de janeiro de 2009, a Administração Pública Municipal deve manter, por intermédio da SEPLAM, ouvida a UEP, registro das Transferências realizadas, do qual constem os imóveis transmissores e receptores, bem como os respectivos potenciais construtivos transferidos e recebidos.
Art. 12. O imóvel edificado ou que tenha recebido benfeitorias também poderá ser objeto de aplicação da TDC.
Parágrafo único. O crédito resultante da aplicação da TDC será calculado mediante a avaliação pelo Município da(s) edificação(ões) e/ou benfeitoria(s) existentes, cujo valor monetário será transformado, por equivalência ao preço do metro quadrado do terreno no mercado imobiliário, em metragem quadrada a ser adicionada à área do imóvel originário da Transferência, para posterior aplicação da Relação de Transferência prevista no art. 11, desta Lei.
Seção II
Da Outorga Onerosa de Alteração de Densidade da AID-PUAMA
Art. 13. Com base no art. 29, da Lei nº 10.257, de 10/07/2001 – Estatuto da Cidade, no art. 155, c/c o art. 130 e 134, inciso XVIII, ambos da Lei Complementar nº 171 de 2007 - Plano Diretor de Goiânia, fica facultada à Administração Municipal consentir na alteração de densificação da ocupação do solo, para as áreas e lotes situados na Área de Influência Direta – AID-PUAMA, apontados como admissíveis, mediante contrapartida a ser prestada pelo beneficiário.
§ 1º Nos termos do art. 30, III, da Lei nº 10.257, de 2001, a aplicação do instituto urbanístico – Outorga Onerosa de Alteração de Densidade – OOAD-PUAMA, ficará condicionada ao dever do beneficiário oferecer contrapartida financeira de preço público, bens, obras ou serviços, pelo direito a que passou a ter, a qual deverá ser de caráter social ou de cunho estritamente urbanístico, atendendo às condições técnicas e jurídicas, estabelecidas nesta Lei.
Art. 14. As permissões para aplicação da OOAD serão precedidas de análise técnica da UEP, quanto à conveniência e interesse de sua aplicação, com posterior procedimento de cálculo para cobrança do valor da contrapartida pela SEPLAM, para o fim de obter o justo equilíbrio que deve revestir a aplicação do instrumento.
Art. 15. A OOAD para as áreas que integram a AID-PUAMA consistirá na modificação do padrão de densidade, originalmente previsto para o local pela LC nº 171 /2007, repassando os terrenos beneficiados para o padrão de densificação previsto para a unidade territorial de Áreas Adensáveis, resguardados os interesses ambientais.
Parágrafo único. Nas áreas e lotes sob aplicação da OOAD incidirão os mesmos parâmetros e regramento urbanísticos estabelecidos para a unidade territorial de Áreas Adensáveis, segundo dispositivos da LC nº 171/2007.
Art. 16. A OOAD será concedida em contrapartida ao benefício direto para o titular do direito, mediante o pagamento de preço público, ou seu equivalente em bens, obras ou serviços, que deverá ser materializada em ações urbanísticas e sociais, devendo ser calculada de acordo com a aplicação da seguinte fórmula:
VAD = (Vm x 0,20) x QUA
Onde:
VAD = Valor da Outorga Onerosa de Alteração de Densidade;
Vm = Valor Referencial do Custo Unitário Básico de Construção (CUB);
QUA = Quantidade de metros quadrados gerados pela aplicação da OOAD.
§ 1º A contrapartida financeira do valor da OOAD, quando feita em moeda corrente, será realizada em parcela única.
§ 2º Na contrapartida financeira do valor da OOAD, quando se tratar do recebimento de bens, obras ou serviços, o beneficiário deverá, após análise da conveniência pela UEP, celebrar Termo de Compromisso, com natureza de ato vinculado, definitivo e imune, por retratar uma outorga onerosa, observando o disposto nesta Lei.
Art. 17. A contrapartida estabelecida no artigo anterior não isenta o beneficiário do pagamento de Outorga Onerosa do Direito de Construir – OODC.
Seção III
Do Direito de Preempção
Art. 18. O Direito de Preempção confere ao Poder Público Municipal a preferência para aquisição de imóvel urbano, objeto de alienação onerosa entre particulares, nos termos do artigo 170, III da Constituição Federal, dos artigos 25, 26 e 27 da Lei Federal nº 10.257, de 10 de julho de 2001 - Estatuto da Cidade; artigos 138 a 145, da LC nº 171/2007 e desta Lei.
Art. 19. Nos termos do art. 25, § 1º da Lei nº 10.257/2001 c/c o art.140, da LC nº 171/2007, os imóveis sobre os quais incidirá o direito de preempção integram o Parque Linear Macambira Anicuns e são aqueles localizados nas áreas identificadas espacialmente no Anexo I, constante desta Lei.
Art. 20. Em conformidade com o disposto no Parágrafo único, do artigo 138, LC nº 171/2007, o Poder Público Municipal exercerá o Direito de Preempção, em atendimento aos objetivos do PUAMA, com o fim descrito no artigo 1º, desta Lei, exclusivamente para sua utilização com:
I - execução de projetos habitacionais de interesse social;
II - constituição de reserva fundiária;
III - implantação de equipamentos urbanos e comunitários;
IV - criação de espaços públicos de lazer e áreas verdes;
V - criação de unidades de conservação ou proteção de outras áreas de interesse ambiental;
VI - proteção de áreas de interesse histórico, cultural ou paisagístico.
Art. 21. Os imóveis indicados por esta Lei, para incidência do Direito de Preempção, deverão ser necessariamente oferecidos ao Município, que terá preferência para aquisição pelo prazo de cinco anos, contados da publicação desta Lei.
Parágrafo único. O exercício do Direito de Preempção poderá ser renovado após um ano do decurso do prazo estipulado neste artigo.
Art. 22. No que se refere aos imóveis urbanos delimitados para incidência do Direito de Preempção, a notificação será feita no prazo de 30 (trinta) dias úteis contados da publicação desta Lei.
§ 1º A notificação aos proprietários será efetuada por meio de publicação no Diário Oficial do Município e em jornal de grande circulação no Município ou por via postal com aviso de recebimento.
§ 2º Caberá à UEP/SEPLAM, representadas pela Procuradoria Geral do Município a efetivação das providências para a notificação prevista no § 1º, incumbindo-lhes, no âmbito das respectivas competências, fornecer-lhes as informações e elementos pertinentes.
§ 3º A UEP/SEPLAM tomará as providências necessárias, repassando à Procuradoria Geral do Município, as peças de notificações para promoção das averbações do Direito de Preempção na Matrícula dos imóveis, no Cartório de Registro de Imóveis da circunscrição imobiliária competente, no prazo de 60 (sessenta) dias úteis, observados os termos iniciais previstos no "caput" e no § 1º deste artigo, nas hipóteses que especificam, bem como, quando couber, o cancelamento de averbação efetuada.
Art. 23. O proprietário de imóvel localizado em área delimitada para o exercício do Direito de Preempção, nesta Lei, no caso de existir intenção de alienar seu imóvel a terceiros interessados, deverá notificar formal e expressamente à Procuradoria Geral do Município, sua intenção de alienar onerosamente o imóvel.
Parágrafo único. A declaração de intenção de alienar onerosamente o imóvel a terceiros deverá ser apresentada com os seguintes documentos:
I - proposta de compra apresentada pelo terceiro interessado na aquisição do imóvel, na qual deverá constar preço, condições de pagamento e prazo de validade;
II - endereço do proprietário, para recebimento de notificação e de outras comunicações;
III - certidão de inteiro teor da matrícula do imóvel, expedida pelo Cartório de Registro de Imóveis da Circunscrição Imobiliária competente;
IV - declaração assinada pelo proprietário, sob as penas da lei, de que não incidem quaisquer encargos e ônus sobre o imóvel, inclusive os de natureza real, tributária ou executória.
Art. 24. Recebida a notificação a que se refere o artigo anterior, o Município poderá manifestar, por escrito, dentro do prazo legal, o interesse em exercer a preferência para aquisição do imóvel.
§ 1º O Município fará publicar, no Diário Oficial do Município e em pelo menos um jornal local ou regional de grande circulação, edital de aviso da notificação recebida, nos termos do artigo anterior e da intenção de aquisição do imóvel nas condições da proposta apresentada, observando-se, na contraproposta, o preço de mercado do imóvel, acompanhada da Justificativa Técnica do Preço.
§ 2º O decurso de prazo de 30 (trinta) dias úteis após a data de recebimento da notificação do proprietário sem a manifestação expressa do Município de que pretende exercer o direito de preferência, faculta ao proprietário alienar onerosamente o seu imóvel ao proponente interessado nas condições da proposta apresentada sem prejuízo do direito do Município exercer a preferência em face de outras propostas de aquisições onerosas futuras, dentro do prazo legal de vigência do Direito de Preempção.
Art. 25. Recebida e devidamente autuada a notificação a que se refere o artigo 22, a SEPLAM deverá encaminhá-la, no prazo de 5 (cinco) dias úteis, juntamente com seu parecer, à Secretaria do Governo Municipal, que solicitará às Secretarias pertinentes e à Procuradoria, o oferecimento de manifestação quanto aos aspectos de disponibilidade de recursos financeiros, avaliação do imóvel, interesse e prioridade para a concretização das diretrizes do Plano Diretor, no prazo máximo de 5 (cinco) dias úteis.
Art. 26. Recebida a notificação, por meio da qual o Município, com interveniência da UEP/SEPLAM, representado pela Procuradoria Geral do Município, manifesta o interesse na aquisição do imóvel, o proprietário deverá no prazo de 15 (quinze) dias úteis, apresentar os seguintes documentos perante a UEP/SEPLAM, que os encaminhará à Procuradoria Geral do Município:
I - certidões do Cartório Distribuidor Cível, da Justiça Federal e da Justiça do Trabalho, da Comarca da Capital e dos Municípios onde o proprietário tenha tido sede ou domicílio nos últimos dez anos, inclusive relativas a execuções fiscais;
II - certidões do Distribuidor Geral de Protestos da Comarca da Capital e do cartório correspondente nos Municípios onde tenha tido sede ou domicílio, abrangendo o período de cinco anos;
III - certidões negativas de débitos, expedidas pela Secretaria da Receita Federal e pela Procuradoria da Fazenda Nacional;
IV - certidão Negativa de Débitos - CND, expedida pelo Instituto Nacional do Seguro Social - INSS;
V - certidões negativas de tributos estaduais e municipais;
VI - declaração de quitação das despesas de condomínio firmada pelo síndico e cópia dos documentos que atestem essa qualidade, no caso de unidade condominial autônoma;
VII - cópias autenticadas dos atos constitutivos da pessoa jurídica vendedora e comprovação dos poderes de representação para a prática do ato.
§ 1º A Procuradoria Geral do Município poderá exigir, quando for o caso, a complementação da documentação, que deverá ser feita em até 07 (sete) dias úteis, especificando, de uma só vez, todos os documentos faltantes.
§ 2º A Secretaria de Finanças, sempre que solicitada, fornecerá à Procuradoria Geral do Município informações sobre débitos tributários municipais relativos ao imóvel, no prazo de 3 (três) dias.
§ 3º Estando a documentação em termos, a Escritura Pública de Compra e Venda deverá ser lavrada, pela Procuradoria Geral do Município, observando as condições técnicas a serem elencadas pela UEP/SEPLAM, no prazo máximo de 30 (trinta) dias, contados da entrega dos documentos previstos no caput deste artigo.
Art. 27. Os emolumentos e as despesas cartorárias correspondentes à lavratura da Escritura Pública de aquisição do imóvel e ao respectivo Registro no Cartório de Registro de Imóveis da Circunscrição Imobiliária competente serão pagos pelo Município, por solicitação da Procuradoria Geral do Município, com recursos orçamentários e financeiros previstos no orçamento para tal fim, através da Secretaria Municipal de Finanças, mediante procedimento administrativo próprio.
Parágrafo único. O proprietário assumirá, por sua conta e risco, as despesas relativas às providências de sua responsabilidade relacionadas, direta ou indiretamente, com a venda do imóvel.
Art. 28. No caso de desinteresse, expresso ou tácito, do Município na aquisição do imóvel, o processo administrativo deverá ser restituído à SEPLAM, que o manterá em custódia, em arquivo específico para tal fim.
Art. 29. Formalizada a alienação a terceiros, o proprietário fica obrigado a entregar a cópia da Escritura Pública de Compra e Venda, devidamente registrada no Cartório de Registro de Imóveis competente, à UEP, prazo de até 30 (trinta) dias úteis, contados do registro, sob pena de responder judicialmente mediante Ação Declaratória de Nulidade, Adjudicação Compulsória ou Ação de Perdas e Danos, com fundamento no art. 518, do Código Civil c/c o art. 4º, § 1º, da Lei nº 10.257, de 2001.
Art. 30. A Procuradoria Geral do Município promoverá as medidas judiciais cabíveis para:
I - a declaração de nulidade de alienação onerosa efetuada em condições diversas da proposta apresentada;
II - a adjudicação de imóvel que tenha sido alienado a terceiros apesar da manifestação do interesse do Município em exercer o direito de preferência;
III - a cobrança da multa a que se refere o artigo anterior.
Art. 31. Em caso de nulidade da alienação efetuada pelo proprietário, o Município poderá adquirir o imóvel pelo valor da base de cálculo do imposto predial e territorial urbano ou pelo valor indicado na proposta apresentada, se este for inferior àquele.
Art. 32. As despesas decorrentes da aplicação do instrumento jurídico Direito de Preempção correrão à conta da Dotação Orçamentária para tal fim a ser consignada em Lei Orçamentária própria.
Art. 33. Faculta-se ao proprietário receber o pagamento do valor do imóvel objeto de direito preferencial de aquisição, mediante concessão da Transferência do Direito de Construir, da Outorga Onerosa do Direito de Construir e pela concessão da exploração de espaços públicos.
CAPÍTULO IV
DOS MECANISMOS DE NEGOCIAÇÃO
Art. 34. As alternativas disponibilizadas pelo PUAMA na promoção das negociações para aquisição de áreas, relocalização da população e negócios instalados nas áreas afetadas pelo Programa compreenderão a aplicação dos mecanismos dispostos neste Capítulo.
Seção I
Da Transferência do Direito de Construir -TDC
Art. 35. A Transferência do Direito de Construir é definida pelo Plano Diretor de Goiânia, instituído pela Lei Complementar n.º 171/2007, associada à Lei nº. 8.761 de 19/01/2009, e que autoriza a transferência da propriedade particular ao Poder Público, sem a exigência do pagamento em dinheiro ao proprietário do imóvel, nos termos desta Lei.
Seção II
Da Outorga Onerosa de Alteração de Densidade
Art. 36. A Outorga Onerosa de Alteração de Densidade permite à Administração Municipal consentir na alteração de densificação do uso do solo, para as áreas e lotes situados na Área de Influência Direta – AID-PUAMA, apontados como admissíveis, mediante contrapartida direcionada ao Programa, a ser prestada pelo beneficiário, nos termos desta Lei.
Seção III
Da Indenização
Art. 37. A desapropriação dos imóveis privados diretamente afetados pelo PUAMA será baseada em Decreto de Declaração de Utilidade Pública, com pagamento efetuado previamente em dinheiro.
Art. 38. Havendo acordo entre o proprietário e o Município, o pagamento será feito diretamente ao proprietário, logo após a tramitação do processo administrativo, em uma única parcela pelo valor de mercado.
Parágrafo único. Havendo concordância do proprietário, o pagamento da indenização devida poderá ocorrer por meio de Transferência do Direito de Construir, via encontro de contas fiscais ou por meio de permuta.
Art. 39. Na inexistência de acordo, será manejada ação judicial de desapropriação pela Procuradoria Geral do Município, que acompanhará o processo até decisão final junto aos tribunais superiores, se necessário.
Seção IV
Da Transferência para Unidades Habitacionais
Art. 40. A transferência das famílias cadastradas, ocupantes de imóveis localizados em áreas públicas existentes no perímetro de construção dos Parques, será feita para unidades habitacionais verticais ou horizontais do Programa Habitacional do Município e para aquelas a serem construídas pelo PUAMA.
Art. 41. As unidades habitacionais a serem construídas pelo PUAMA serão implantadas em áreas públicas existentes o mais próximo possível à atual residência da população afetada e que possuam infraestrutura.
Seção V
Do Bônus Moradia
Nota: ver Decreto n° 735, de 28 de março de 2012 - regulamenta o Bônus Moradia.
Art. 42. Fica criado o Bônus-Moradia como uma forma de compensação às famílias residentes nas áreas dos parques previstos pelo PUAMA, cadastradas até a data de 30 de junho de 2011, com valor determinado pelo custo médio das unidades habitacionais unifamiliares padrão, definido pelo Sistema Nacional de Pesquisa de Custos e Índices da Construção Civil – SINAPI.
Art. 43. Será permitida a utilização do Bônus Moradia para a aquisição de imóvel de valor superior ao custo médio da unidade habitacional unifamiliar padrão do Município de Goiânia, hipótese em que a família será responsável pelo pagamento integral da diferença. (Redação conferida pelo art. 1º da Lei 9.592, de 03 de junho de 2015.)
Art. 43. Será permitida a utilização do Bônus-Moradia para a aquisição de imóvel de valor superior ao custo médio das unidades habitacionais unifamiliares padrão do Município de Goiânia, hipótese em que a família será única e exclusivamente responsável pelo pagamento da diferença. (Redação da Lei nº 9.123, de 28 de dezembro de 2011.)
§ 1º Todo imóvel a ser adquirido com a utilização do Bônus Moradia no Município de Goiânia deverá ser vistoriado pelo PUAMA e ter atestada sua condição de habitabilidade. (Redação acrescida pelo art. 1º da Lei 9.592, de 03 de junho de 2015.)
§ 2º O Beneficiário que optar em adquirir moradia em outro município poderá optar pelo recebimento do Bônus Moradia pessoalmente por meio de cheque administrativo ou depósito em conta bancária, devendo comprovar a transação posteriormente, sob pena de ressarcimento aos cofres públicos. (Redação acrescida pelo art. 1º da Lei 9.592, de 03 de junho de 2015.)
Art. 44. O Bônus Moradia beneficiará apenas um membro de cada unidade familiar, cujo representante firmará com o Município de Goiânia um Termo de Compromisso de Quitação do Bônus Moradia (TCR) que dará ao adquirente o direito de receber a nova moradia a partir da data de sua assinatura e onde constará o encargo de inalienabilidade do imóvel pelo prazo mínimo de 05 (cinco) anos. (Redação conferida pelo art. 1º da Lei 9.592, de 03 de junho de 2015.)
Art. 44. O Bônus-Moradia beneficiará apenas um membro de cada unidade familiar, cujo representante firmará com o Município de Goiânia um Termo de Compromisso, Quitação do Bônus-Moradia – TCR, no qual constará o encargo de inalienabilidade do imóvel pelo prazo mínimo de 10 (dez) anos e dará ao adquirente o direito de receber a nova moradia a partir da data de assinatura desse Termo. (Redação da Lei nº 9.123, de 28 de dezembro de 2011.)
Art. 45. O pagamento do Bônus-Moradia será efetuado diretamente ao proprietário do imóvel adquirido, mediante emissão de cheque administrativo ou depósito em conta bancária, no ato da transferência do domínio do imóvel em cartório.
Art. 46. As condições de aplicabilidade do Bônus-Moradia serão objeto de regulamento próprio.
CAPÍTULO V
DAS RECEITAS E DESPESAS
Art. 47. A integralidade dos recursos auferidos com a aplicação desta Lei integrará as receitas do Fundo Municipal de Desenvolvimento Urbano – FMDU, com destinação específica às despesas de capital constantes do programa 3101.04.122.0128.1459 - PROMOVER A ORGANIZAÇÃO URBANO AMBIENTAL, da Secretaria Municipal de Planejamento e Urbanismo, referente ao PUAMA.
§ 1º Em decorrência do disposto no artigo anterior fica indicada a rubrica de receita do Sistema de Arrecadação - 2241, onde serão registradas as receitas provenientes da arrecadação prevista na Seção II, do Capítulo III, desta Lei – DA OUTORGA ONEROSA DE ALTERAÇÃO DE DENSIDADE NA AID-PUAMA.
§ 2º As receitas de Capital provenientes da contrapartida pecuniária e da alienação de bens, previstas nos artigos 7º e 53, respectivamente, desta Lei, serão arrecadados em conta específica do PUAMA.
Art. 48. São abertos à Secretaria Municipal de Planejamento e Urbanismo, para o exercício de 2012, 12 (doze) Créditos Adicionais de Natureza Especial, no montante de R$ 9.410.000,00 (nove milhões, quatrocentos e dez mil reais), correspondentes a 1.256.341,79 UROMG’s (um milhão, duzentas e cinquenta e seis mil, trezentas e quarenta e uma e setenta e nove centésimos de Unidades de Referência Orçamentária do Município de Goiânia), conforme Elementos de despesa abaixo:
Programa |
Natureza de Despesa |
Fonte |
Especificação |
Saldo |
04 122 0128 1.459 |
4490.39.00 |
110 |
Outros Serviços de Terceiros – Pessoa Jurídica |
R$ 300.000,00 |
04 122 0128 1.459 |
4490.39.00 |
193 |
Outros Serviços de Terceiros – Pessoa Jurídica |
R$ 300.000,00 |
04 122 0128 1.459 |
4490.39.00 |
194 |
Outros Serviços de Terceiros – Pessoa Jurídica |
R$ 400.000,00 |
04 122 0128 1.459 |
4490.51.00 |
110 |
Obras e Instalações. |
R$ 1.000.000,00 |
04 122 0128 1.459 |
4490.51.00 |
193 |
Obras e Instalações. |
R$ 1.000.000,00 |
04 122 0128 1.459 |
4490.51.00 |
194 |
Obras e Instalações. |
R$ 1.000.000,00 |
04 122 0128 1.459 |
4490.52.00 |
110 |
Equipamento e Material Permanente |
R$ 140.000,00 |
04 122 0128 1.459 |
4490.52.00 |
193 |
Equipamento e Material Permanente |
R$ 140.000,00 |
04 122 0128 1.459 |
4490.52.00 |
194 |
Equipamento e Material Permanente |
R$ 130.000,00 |
04 122 0128 1.459 |
4490.61.00 |
110 |
Aquisição de Imóveis |
R$ 1.000.000,00 |
04 122 0128 1.459 |
4490.61.00 |
193 |
Aquisição de Imóveis |
R$ 1.000.000,00 |
04 122 0128 1.459 |
4490.61.00 |
194 |
Aquisição de Imóveis |
R$ 3.000.000,00 |
TOTAL |
R$ 9.410.000,00 |
|||
Art. 49. Os recursos auferidos com a aplicação desta Lei abrangem valores pecuniários, bens e direitos patrimoniais ou de interesse público.
Parágrafo único. Entende-se por recursos auferidos o total de importâncias e de bens e direitos de caráter patrimonial ou aqueles necessários ao atendimento de interesses coletivos, que contabilizem o montante das contrapartidas devidas pelos beneficiários dos atos administrativos decorrentes desta Lei.
Art. 50. É vedado aplicar os recursos auferidos com a aplicação desta Lei em desacordo com o previsto no art. 31, combinado com o artigo 26, da Lei nº 10.257, de 2001 e art. 154, da LC nº 171/2007, exclusivamente no que se refere às alíneas II, III, V, VI, VII e VIII, de ambos os diplomas.
CAPÍTULO VI
DAS DISPOSIÇÕES FINAIS E TRANSITÓRIAS
Art. 51. As ações a serem desencadeadas pela UEP para as negociações com vistas à aquisição de áreas a serem integradas ao PUAMA, se sujeitarão, preferencialmente, ao cronograma das etapas de implantação das obras dos parques.
Art. 52. As contrapartidas em áreas, observado o disposto no artigo anterior, que necessitarem de desmembramento das matrículas originais dos imóveis junto aos respectivos Cartórios de Registro de Imóveis, serão objeto de processo administrativo na Prefeitura sob responsabilidade da UEP, considerado o interesse público.
Art. 53. Para o caso de contrapartidas em áreas, resultantes da determinação legal de doação de áreas públicas, que ultrapassarem o percentual exigido em lei, poderá ser utilizada a aplicação do instrumento de Transferência do Direito de Construir sobre a diferença a maior, do total doado ao Município, nos termos desta Lei e da legislação pertinente.
Art. 54. Ficam desafetadas de suas destinações originais, repassando-as à afetação de Saúde, as áreas descritas nos itens 1 e 2, constantes do Anexo II, desta Lei categoria de bem dominial, as áreas de uso comum do povo situadas na Área de Influência do PUAMA e relacionadas no Anexo II, desta Lei, ficando também autorizado o Município de Goiânia a utilizá-las para a construção de equipamentos comunitários de destinação diversa, relocalização de população ocupante da área do PUAMA, permutá-las por outros imóveis de domínio particular ou ainda, aliená-las em leilão público, sendo que os recursos porventura advindos destas transações observarão o disposto no Capítulo V, desta Lei.
Art. 55. Fica autorizado o Município de Goiânia, a utilizar Áreas Públicas já desafetadas para a construção de equipamentos comunitários de destinação diversa, relocalização de população ocupante da área do PUAMA, permutá-las por outros imóveis de domínio particular ou ainda, aliená-las em leilão público, sendo que os recursos porventura advindos destas transações observarão o disposto no Capítulo V, desta Lei.
Art. 56. A Prefeitura atualizará os Valores Venais integrantes da Planta de Valores do Município de Goiânia referentes aos imóveis contidos nos setores pertencentes à AID-PUAMA, na medida da implantação dos Parques previstos pelo Programa.
Art. 57. Admite-se o repasse de Outorga Onerosa do Direito de Construir, na forma da legislação própria, em contrapartida à doação de áreas ou benfeitorias ou, ainda, pela prestação de serviços vinculados ao PUAMA, desde que com autorização prévia da SEPLAM, ouvida a UEP.
Parágrafo único. As áreas objeto de doação estarão inseridas nos bairros constantes dos Decretos nºs. 1.392 e 2.747 e sucedâneos, independentemente de estarem em Área de Influência Direta - AID-PUAMA. (Redação acrescida pelo art. 6º da Lei nº 10.544, de 27 de outubro de 2020.)
Art. 58. As condições de excepcionalidade previstas nesta Lei terão o prazo de validade até que sejam implementadas integralmente todas as obras de intervenções ambientais e urbanísticas de responsabilidade do Município como contrapartida prevista no Contrato nº 1980/OC-BR, firmado entre o Município de Goiânia e o Banco Interamericano de Desenvolvimento – BID, após o que passarão a ser aplicadas as normas urbanísticas estabelecidas pela legislação em vigor. (Redação conferida pelo art. 1º da Lei nº 10.307, de 09 de janeiro de 2019.)
Art. 58. As condições de excepcionalidade previstas nesta Lei terão o prazo de validade no período de vigência do PUAMA, as mesmas extinguindo-se após o término do Contrato nº 1980/OC-BR, firmado entre o Município de Goiânia e o Banco Interamericano de Desenvolvimento – BID, após o que passarão a ser aplicadas as normas urbanísticas estabelecidas pela legislação em vigor. (Redação da Lei nº 9.123, de 28 de dezembro de 2011.)
Art. 59. São partes integrantes desta Lei o Anexo I e o Anexo II.
Art. 60. As despesas decorrentes da implementação desta Lei, incluindo-se as despesas cartorárias e de registro, correrão à conta das dotações próprias consignadas no orçamento do Poder Executivo para a realização do PUAMA.
Art. 61. Esta Lei entrará em vigor na data de sua publicação, revogadas as disposições em contrário.
GABINETE DO PREFEITO DE GOIÂNIA, aos 28 dias do mês de dezembro de 2011.
PAULO GARCIA
Prefeito de Goiânia
SAMUEL BELCHIOR
Secretário do Governo Municipal
Allen Anderson Viana
Andrey Sales de Souza Campos Araújo
Célia Maria Silva Valadão
Dário Délio Campos
Elias Rassi Neto
George Morais Ferreira
Kleber Branquinho Adorno
Leodante Cardoso Neto
Luiz Carlos Orro de Freitas
Lyvio Luciano Carneiro de Queiroz
Neyde Aparecida da Silva
Paulo Roberto Manoel Pereira
Paulo Sérgio Povoa Borges
Rodrigo Czepak
Sebastião Augusto Barbosa Neto
Teresa Cristina Nascimento Sousa
Este texto não substitui o publicado no DOM 5256 de 28/12/2011.
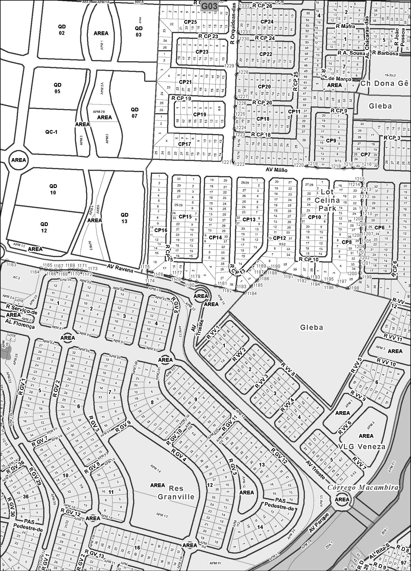
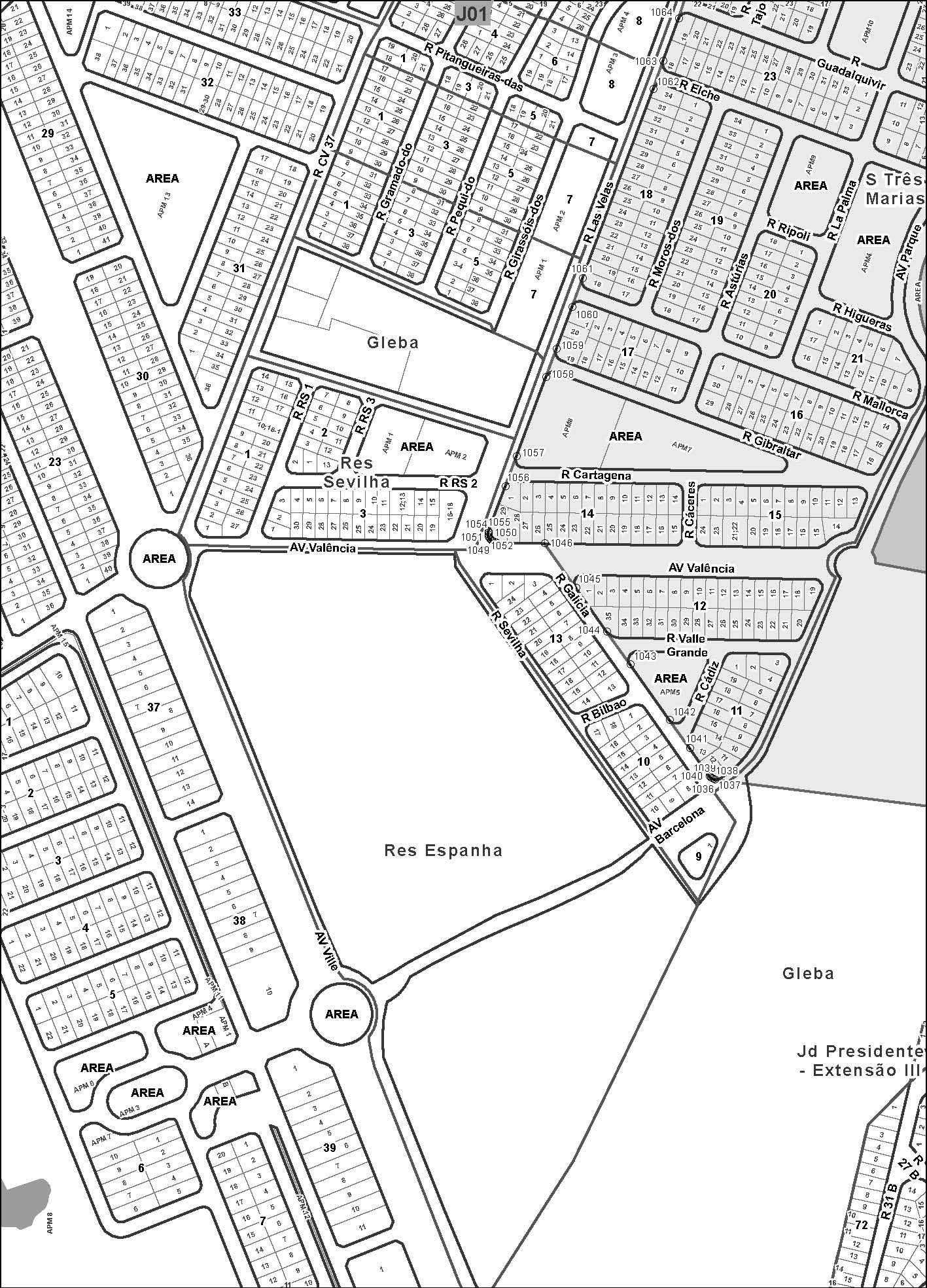
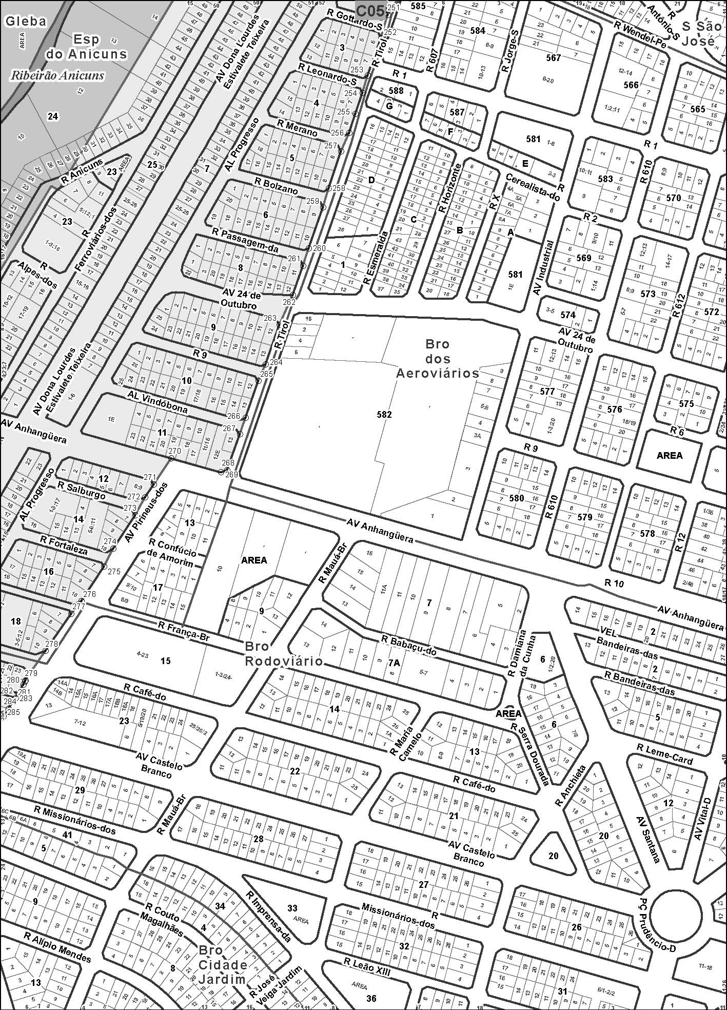
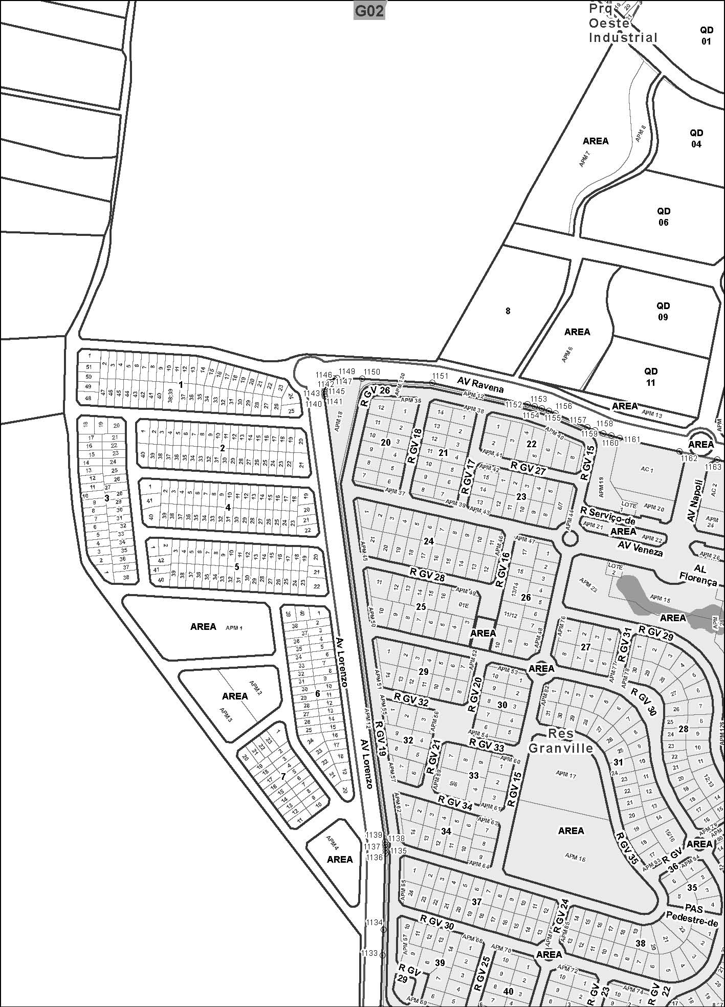
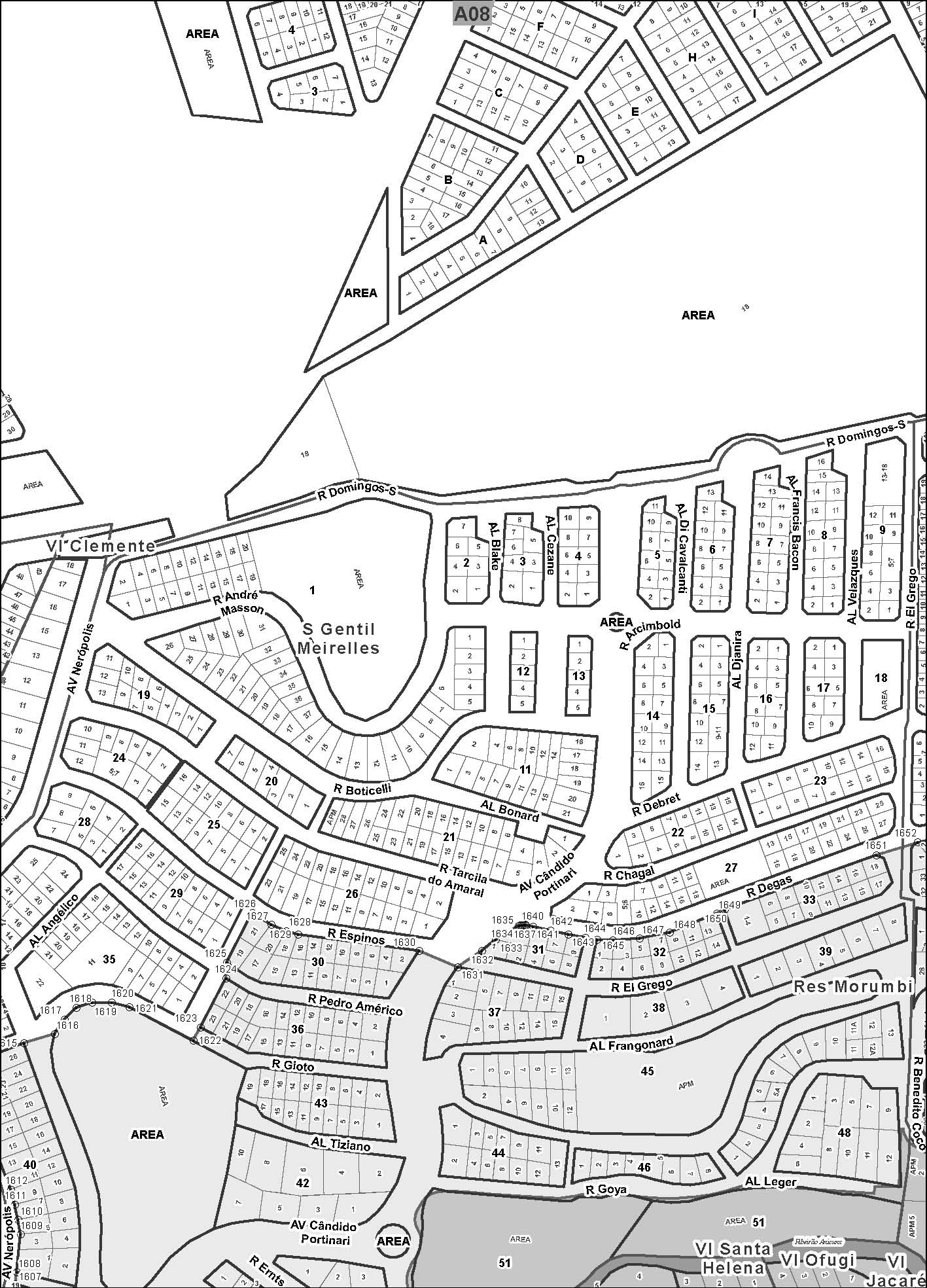
Anexo I
ÁREA DE INFLUÊNCIA DIRETA DO PROGRAMA URBANO AMBIENTAL MACAMBIRA ANICUNS - AID-PUAMA
Nota: ver Lei nº 10.344, de 29 de abril de 2019 - fica acrescida a Chácara Retiro junto ao Anexo I desta lei.
O presente Anexo contém a identificação das áreas e lotes componentes da AID-PUAMA e compõe-se de três partes:
1. Figura geral da AID-PUAMA com referências das articulações das folhas;
2. Mapas parciais da AID-PUAMA, sequenciados segundo referência das articulações, enumeradas centralmente na margem superior da folha;
3. Coordenadas dos pontos definidores da linha delimitadora da AID-PUAMA.
Obs.:
PTO – Identificação do ponto a que se referem às coordenadas contidas nesta tabela. O ponto pode ser visualizado no mapa que faz parte deste anexo.
E – Coordenada Leste do ponto.
N – Coordenada Norte do ponto.
As coordenadas são do sistema UTM, com meridiano central em 51°W, SAD69.
• Clique nos quadrantes no interior da figura abaixo para vizualizar os mapas parciais da AID-PUAMA.

Gleba de terras situadas na fazenda Retiro, no município de Goiânia-GO, com área de 42.831,98 m², objeto da matricula nº 71.725 do CRI da 2ª Circunscrição da Comanda de Goiânia, inserido na zona urbana. (Incluído pela Lei Complementar nº 371, de 2024.)
Inicia-se no vértice denominado M1(N=8.151,831,615;E=677.140,913), na margem direita do Córrego Santa Rita com Fazenda Santa Rita Parte, daí segue com azimute e distância de 93° 22’41”- 496,42m, até o vértice M2(N=8.151.802,365;E=677.636,473), confrontando com Residencial Granville, daí segue com azimute e distância de 172°36’56” - 611,38m, até o vértice M3(N=8.151.196,053;E=677.715,053), confrontando ainda com o Residencial Granville, daí segue com azimute e distância de 187°20’18” - 118,38m”, até o vértice M4(N=8.151.078,643;E=677.699,932), confrontando com Fazenda Santa Rita Parte, daí segue com azimute e distância de 323°06’20” - 586,99m, até o vértice M5(N=8.151.548,081;E=677.347,539), confrontando com Fazenda Santa Rita Parte, daí segue com azimute e distância de 303°47’49” - 259,77m, até o vértice M6(N=8.151.692,579;E=677.131,665), cravado na margem direita do Córrego Santa Rita, daí segue margeando este córrego a jusante e em linha reta com azimute e distância de 3°48’20” - 139,34m, até o início desta descrição, no vértice M1. (Incluído pela Lei Complementar nº 371, de 2024.)
Anexo II
ÁREAS A SEREM DESAFETADAS:
1 - Área Pública Municipal – Área destinada a Escola e Igreja, com 4.409,00m² (quatro mil, quatrocentos e nove metros quadrados), situada na Rua das Palmeiras, Rua Buenos Aires e Rua José Bonifácio, no Bairro São Francisco;
2 - Área Pública Municipal – Parte da área, destinada a Mercado, com 2.497,99m² (dois mil, quatrocentos e noventa e sete vírgula noventa e nove metros quadrados), denominada por Praça Jorge Carneiro, situada na confluência da Rua Langendoerffer com Rua Heitor Fleury, no loteamento Cidade Jardim;
3 - Área Pública Municipal – APM 04, destinada a Praça/Parque Infantil, com 5.422,50m² (cinco mil quatrocentos e vinte e dois vírgula cinquenta metros quadrados), situada entre as Ruas: JGO 3, JGO 4, JGO 5 e RC-5, no Setor Jardim Gramado;
4 - Área Pública Municipal – APM 05, destinada a Parque Esportivo, com 11.832,62m² (onze mil, oitocentos e trinta e dois vírgula sessenta e dois metros quadrados), situada entre as Ruas: JGO 3, JGO 5, JGO 09 e JGO 10, no Setor Jardim Gramado;
5 - Área Pública Municipal – 2.1.3, destinada a Lazer – Play Ground, com 3.300,00m² (três mil e trezentos metros quadrados), com acesso pela Avenida Seringueiras, no Setor Parque Santa Rita;
6 - Área Pública Municipal – 3.1.2, destinada a Centro Comunitário, com 2.500,00m² (dois mil e quinhentos metros quadrados), com acesso pela Avenida Seringueiras, no setor Parque Santa Rita;
7 - (Revodado pela Lei nº 11.213, de 2024.)
7 - Área Pública Municipal – APM-7, destinada a Parque Esportivo e CEPAL, com 36.763,07m² (trinta e seis mil, setecentos e sessenta e três vírgula zero sete metros quadrados), situada entre a Avenida Toronto e Ruas: MDV-21, MDV-22 e MDV-27, no loteamento Moinho dos Ventos;
8 - Área Pública Municipal – APM- Q-CP26, desafetada pela Lei nº 7.358, de 15/09/94, com 17.620,31m² (dezessete mil, seiscentos e vinte vírgula trinta e um metros quadrados), situada entre a Avenida Circular, Rua CP-26 e Rua das Orquídeas, no loteamento Celina Park;
9 - Área Pública Municipal – APM- 01, com 4.069,24m² (quatro mil e sessenta e nove vírgula vinte e quatro metros quadrados), destinada a Escola, situada na Avenida Macambira com Rua Cabo Frio, no loteamento Residencial Jardim Leblon;
10 - Área Pública Municipal – APM- 02, com 754,99m² (setecentos e cinquenta e quatro vírgula noventa e nove metros quadrados), destinada a Centro Comunitário, situada na Rua Cabo Frio, no loteamento Residencial Jardim Leblon;
11 - Área Pública Municipal – APM- 03, com 1.806,98m² (hum mil, oitocentos e seis vírgula noventa e oito metros quadrados), destinada a Creche, situada na Rua Cabo Frio, no loteamento Residencial Jardim Leblon;
12 - Área Pública Municipal – APM - 06, com 9.994,65m² (nove mil novecentos e noventa e quatro vírgula sessenta e cinco metros quadrados), destinada a Área Verde, situada na Avenida Rezende com Rua John Kennedy e Rua 2A, no loteamento Residencial Cidade Verde.